Dự báo thời tiết: Bão số 5 gây gió giật cấp 17 trên biển Đông
Trung tâm Dự báo Khí tượng Thuỷ văn Trung ương cho biết sức gió mạnh nhất ở vùng gần tâm bão mạnh cấp 16 (185-200km/giờ), giật trên cấp 17.
Dự báo thời tiết trong 24 giờ tới, bão di chuyển theo hướng Tây Bắc, mỗi giờ đi được khoảng 20 km. Đến 16 giờ ngày 15/9, vị trí tâm bão ở vào khoảng 26,4 độ Vĩ Bắc; 116,8 độ Kinh Đông, trên đất liền phía Đông Nam tỉnh Quảng Đông (Trung Quốc). Sức gió mạnh nhất ở vùng gần tâm bão mạnh cấp 8 (60-75km/giờ), giật cấp 10. Do ảnh hưởng của bão, vùng biển phía Đông Bắc Biển Đông có gió mạnh cấp 8-12, vùng gần tâm bão đi qua cấp 13-15, giật trên cấp 17. Biển động dữ dội. Trên khu vực Đông Bắc Biển Đông vùng nguy hiểm (gió mạnh từ cấp 8, giật cấp 10-12 trở lên): phía Bắc Vĩ tuyến 210 N và phía Đông Kinh tuyến 1170E. Cấp độ rủi ro thiên tai: cấp 3. Trong 24 đến 36 giờ tiếp theo (tức vào chiều và tối 15/9) , bão có khả năng đổi hướng di chuyển theo hướng Bắc Đông Bắc, mỗi giờ đi được khoảng 20km, đi sâu vào đất liền và suy yếu nhanh thành một vùng áp thấp trên đất liền tỉnh Giang Tây (Trung Quốc). Lũ trên sông Hiếu, sông Cả (Nghệ An), sông Ngàn Sâu, sông La (Hà Tĩnh) đang lên; sông Ngàn Phố (Hà Tĩnh), sông Gianh (Quảng Bình) đang xuống. Nguy cơ cao xảy ra sạt lở đất ở vùng núi, ngập úng tại vùng trũng, ven sông các tỉnh từ Nghệ Anđến Quảng Bình, đặc biệt các huyện: Tương Dương, Kỳ Sơn, Quế Phong, Quỳ Châu, Con Cuông, Anh Sơn, Quỳ Hợp, Đô Lương, Thanh Chương; Tân Kỳ, Nghĩa Đàn (Nghệ An); huyện Hương Khê, Hương Sơn, Vũ Quang (Hà Tĩnh).Dự báo cho các vùng đêm 14/9 như sau:
Phía Tây Bắc Bộ có mưa rào và dông vài nơi. Gió nhẹ. Độ ẩm từ 67 - 95%. Nhiệt độ thấp nhất từ 22 - 25 độ C, cao nhất từ 30 - 33 độ C.
Phía Đông Bắc Bộ và Thủ đô Hà Nội có mưa rào và dông vài nơi; riêng khu vực nam Đồng Bằng đêm có mưa rào rải rác và có nơi có dông. Gió Đông Bắc cấp 2-3. Độ ẩm từ 66 - 95%. Nhiệt độ thấp nhất từ 24 - 27 độ C, cao nhất từ 30 - 33 độ C. Các tỉnh từ Thanh Hoá đến Thừa Thiên Huế đêm có mưa, mưa vừa, có nơi mưa to đến rất to và dông. Gió nhẹ. Độ ẩm từ 72 - 99%. Nhiệt độ thấp nhất từ 23 - 26 độ C, cao nhất từ 29 - 32 độ C. Đà Nẵng đến Bình Thuận có mưa rào và dông vài nơi. Gió Tây Nam cấp 2-3. Độ ẩm từ 65 - 93%. Nhiệt độ thấp nhất từ 24 - 27 độ C, cao nhất từ 31 - 34 độ C. Khu vực Tây Nguyên có mưa rào và dông vài nơi; Gió Tây Nam cấp 2-3. Trong cơn dông có khả năng xảy ra tố lốc và gió giật mạnh. Độ ẩm từ 80 - 97%. Nhiệt độ thấp nhất từ 21 - 24 độ C, cao nhất từ 27 - 30 độ C. Nam Bộ có mưa rào và dông vài nơi; riêng chiều tối có mưa rào và dông rải rác. Gió Tây Nam cấp 2-3. Trong cơn dông có khả năng xảy ra tố lốc và gió giật mạnh. Độ ẩm từ 80 - 98%. Nhiệt độ thấp nhất từ 23 - 26 độ C, cao nhất từ 29 - 32 độ C.>>>Dự báo thời tiết: Bão Meranti đã đi vào biển Đông, sức gió giật trên cấp 17
Tin liên quan
- 
                                                
                                                    
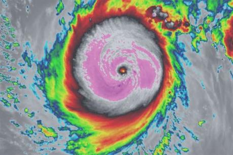
                                                        ![Dự báo thời tiết: Bão Meranti đã đi vào biển Đông, sức gió giật trên cấp 17]() Kinh tế & Xã hội Kinh tế & Xã hộiDự báo thời tiết: Bão Meranti đã đi vào biển Đông, sức gió giật trên cấp 1718:15' - 14/09/2016 Dự báo trong 24 giờ tới, bão di chuyển theo hướng Tây Bắc, mỗi giờ đi được khoảng 20km. 
- 
                                                
                                                    
                                                        ![Dự báo thời tiết 14/9: Siêu bão Meranti gây gió giật trên cấp 17 ở  Biển Đông]() Kinh tế & Xã hội Kinh tế & Xã hộiDự báo thời tiết 14/9: Siêu bão Meranti gây gió giật trên cấp 17 ở Biển Đông07:47' - 14/09/2016 Từ sáng sớm hôm nay (14/9), ảnh hưởng của siêu bão Meranti gây ra gió mạnh cấp 10-14 cho khu vực Đông Bắc Biển Đông. Vùng gần tâm bão gió cấp 15-17, giật trên cấp 17, biển động dữ dội. 
- 
                                                
                                                    
                                                        ![Dự báo thời tiết: Các tỉnh, thành phố ven biển theo dõi chặt siêu bão Meranti]() Kinh tế & Xã hội Kinh tế & Xã hộiDự báo thời tiết: Các tỉnh, thành phố ven biển theo dõi chặt siêu bão Meranti16:43' - 13/09/2016 Dự báo trong 24 giờ tới, bão Meranti di chuyển theo hướng Tây Tây Bắc, mỗi giờ đi được khoảng 20km. 
- 
                                                
                                                    
                                                        ![Dự báo thời tiết: Xuất hiện siêu bão Meranti gần Biển Đông]() Kinh tế & Xã hội Kinh tế & Xã hộiDự báo thời tiết: Xuất hiện siêu bão Meranti gần Biển Đông13:15' - 13/09/2016 Hiện một siêu bão có tên quốc tế là Meranti đang hoạt động trên vùng biển ngoài khơi Tây Bắc Thái Bình Dương. 
Tin cùng chuyên mục
- 
                                                
                                                    
                                                        ![Lịch thi đấu bóng đá hôm nay ngày 31/10/2025]() Kinh tế & Xã hội Kinh tế & Xã hộiLịch thi đấu bóng đá hôm nay ngày 31/10/202505:00' Bnews. Lịch thi đấu bóng đá hôm nay 31/10, sáng mai 1/11 các trận đấu trong nước, quốc tế đêm nay và sáng mai được cập nhật mới nhất, chính xác nhất. Lịch thi đấu ngoại hạng Anh, La Liga, Bundesliga. 
- 
                                                
                                                    
                                                        ![44 tác phẩm được trao Giải Báo chí toàn quốc phòng, chống tham nhũng, lãng phí, tiêu cực lần thứ V]() Kinh tế & Xã hội Kinh tế & Xã hội44 tác phẩm được trao Giải Báo chí toàn quốc phòng, chống tham nhũng, lãng phí, tiêu cực lần thứ V21:23' - 30/10/2025 Với tinh thần dân chủ, khách quan, công tâm, trách nhiệm cao, các thành viên Hội đồng Chung khảo đã xem xét, thống nhất lựa chọn được 44 tác phẩm xuất sắc nhất để trao giải. 
- 
                                                
                                                    
                                                        ![Thủ tướng: Người làm báo vững vàng và quyết liệt phòng, chống tham nhũng]() Kinh tế & Xã hội Kinh tế & Xã hộiThủ tướng: Người làm báo vững vàng và quyết liệt phòng, chống tham nhũng21:17' - 30/10/2025 Thủ tướng Chính phủ Phạm Minh Chính dự Lễ trao Giải báo chí toàn quốc phòng, chống tham nhũng, lãng phí, tiêu cực lần thứ V, năm 2024 – 2025. 
- 
                                                
                                                    
                                                        ![Quảng Ngãi: Đèo Lò Xo tiếp tục sạt lở]() Kinh tế & Xã hội Kinh tế & Xã hộiQuảng Ngãi: Đèo Lò Xo tiếp tục sạt lở20:57' - 30/10/2025 Chiều 30/10 trên đèo Lò Xo (đường Hồ Chí Minh) đoạn giáp ranh giữa tỉnh Quảng Ngãi và thành phố Đà Nẵng tiếp tục bị sạt lở nghiêm trọng khiến hàng chục phương tiện đang lưu thông bị tắc nghẽn. 
- 
                                                
                                                    
                                                        ![Tuyến đường Hồ Chí Minh còn nhiều điểm sạt lở nghiêm trọng]() Kinh tế & Xã hội Kinh tế & Xã hộiTuyến đường Hồ Chí Minh còn nhiều điểm sạt lở nghiêm trọng20:56' - 30/10/2025 Tuyến đường Hồ Chí Minh là một trong những tuyến đường huyết mạch kết nối giao thương giữa các tỉnh Tây Nguyên xuống thành phố Đà Nẵng. 
- 
                                                
                                                    
                                                        ![Hình ảnh di dời dân giữa dòng lũ dâng ở Lâm Đồng]() Kinh tế & Xã hội Kinh tế & Xã hộiHình ảnh di dời dân giữa dòng lũ dâng ở Lâm Đồng20:40' - 30/10/2025 Ngày 30/10/2025, trên địa bàn các xã Hàm Thuận và Hàm Thuận Bắc của tỉnh Lâm Đồng tiếp tục có mưa lớn kéo dài. 
- 
                                                
                                                    
                                                        ![Những suất cơm nghĩa tình giữa tâm lũ]() Kinh tế & Xã hội Kinh tế & Xã hộiNhững suất cơm nghĩa tình giữa tâm lũ20:39' - 30/10/2025 Sáng 30/10, cán bộ, chiến sĩ Lữ đoàn Thông tin 575/QK5 đã tổ chức nấu hơn 200 suất cơm cùng các nhu yếu phẩm thiết yếu. 
- 
                                                
                                                    
                                                        ![Đà Nẵng: Nhiều điểm sạt lở nghiêm trọng, đường Hồ Chí Minh vẫn chia cắt]() Kinh tế & Xã hội Kinh tế & Xã hộiĐà Nẵng: Nhiều điểm sạt lở nghiêm trọng, đường Hồ Chí Minh vẫn chia cắt20:27' - 30/10/2025 Do ảnh hưởng của mưa lớn, tuyến đường Hồ Chí Minh nằm ở khu vực miền núi phía Tây kết nối thành phố Đà Nẵng đi các tỉnh Tây Nguyên đang xuất hiện nhiều điểm sạt lở núi nghiêm trọng. 
- 
                                                
                                                    
                                                        ![Hội An vẫn "ngâm mình" trong lũ]() Kinh tế & Xã hội Kinh tế & Xã hộiHội An vẫn "ngâm mình" trong lũ20:26' - 30/10/2025 Quen rồi, hầu như các năm đều đón lũ. Tuy năm nay lũ có cao kỷ lục, nhưng rồi sẽ rút, Hội An lại rực rỡ và đông vui, lại niềm nở với du khách bằng sự hứng khởi của di sản thế giới. 

 Dự báo thời tiết: Bão số 5 gây gió giật cấp 17 trên biển Đông. Ảnh: TTXVN
Dự báo thời tiết: Bão số 5 gây gió giật cấp 17 trên biển Đông. Ảnh: TTXVN 
                                                     
                                                     
                                                     
                                                     
                                                     
                                                     
                                                     
                                                     
                                                     
                                                     
                                                     
                                                    