Mỹ: Bão mạnh càn quét khu vực ven biển bang Alaska
Trong thông báo trên Twitter, NWS cho biết tàn dư của bão Merbok ở Thái Bình Dương đã tạo ra một trong những cơn bão mạnh nhất trong nhiều thập kỷ, tác động tới khu vực trên vào thời điểm này trong năm nay và dự báo bão sẽ hoành hành khu vực ven biển bang Alaska suốt những ngày cuối tuần.
NWS cảnh báo trong bão xuất hiện sóng cao dữ dội, triều cường có nơi lên tới 3,3m - mức cao nhất kể từ trận lụt lịch sử năm 1974, gió giật mạnh 145km/h, mưa lớn gây xói mòn bờ biển, đồng thời khiến tình trạng ngập lụt trở nên trầm trọng hơn.
Thống đốc bang Alaska, ông Mike Dunleavy đã ban bố tình trạng thảm họa đối với các cộng đồng chịu ảnh hưởng do bão. Ông cho biết hiện chưa có báo cáo về thương vong.
Chuyên gia khí hậu Rick Thoman tại Đại học Alaska-Fairbanks nhận định đây có thể là cơn bão mạnh nhất vào đầu mùa Thu trong 50 năm qua trên biển Bering. NWS dự báo bão đang di chuyển theo hướng Bắc.
Các cảnh báo ngập lụt vẫn tiếp tục được duy trì tới 22h cùng ngày theo giờ địa phương (13h ngày 18/9 theo giờ Việt Nam) tại các khu vực ven biển miền Nam và tới 8h30 ngày 18/9 (20h30 cùng ngày, giờ Việt Nam) tại các khu vực miền Bắc.
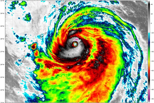
* Cùng ngày, Trung tâm Bão Quốc gia (NHC) của Mỹ thông báo bão nhiệt đới Fiona đã tăng cấp và đang di chuyển về hướng vùng lãnh thổ Puerto Rico. Trung tâm này cũng cảnh báo nguy cơ xảy ra lũ lụt, sạt lở đất đe dọa tính mạng người dân tại đây, đồng thời khuyến cáo quần đảo Virgin thuộc Anh theo dõi sát các diễn biến bão.
NHC dự báo Puerto Rico sẽ hứng chịu lượng mưa lên tới 510mm cùng các đợt gió mạnh, gây lũ lụt, sạt lở đất và mất điện./.
Tin liên quan
-
Kinh tế & Xã hội
Nhật Bản hối thúc gần 2 triệu người sơ tán để ứng phó với siêu bão Nanmadol
11:59' - 18/09/2022
Hàng nghìn người dân ở Tây Nam Nhật Bản ngày 18/9 đã phải trú ẩn khi siêu bão Nanmadol đang hướng về nước này.
-
Kinh tế & Xã hội
Siêu bão Hinnamnor gây thiệt hại nặng tại Hàn Quốc
17:10' - 06/09/2022
Ngày 6/9, giới chức Hàn Quốc cho biết ít nhất 2 người đã thiệt mạng, 1 người bị thương và 10 người khác mất tích sau khi siêu bão Hinnamnor quét qua nước này.
Tin cùng chuyên mục
-
Kinh tế & Xã hội
Kết nối ngân hàng – doanh nghiệp – nhà nông thúc đẩy tín dụng xanh
10:50'
Nhu cầu vốn của doanh nghiệp, nhà nông cho sản xuất thân thiện với môi trường, tiết kiệm năng lượng, giảm phát thải ngày càng lớn, trong khi việc tiếp cận tín dụng xanh vẫn còn nhiều rào cản.
-
Kinh tế & Xã hội
Hợp nhất để bứt phá: Du lịch Vĩnh Long vào guồng tăng trưởng mới
09:45'
Ngày 18/12, tại phường An Hội, tỉnh Vĩnh Long, Hiệp hội Du lịch tỉnh Vĩnh Long tổ chức Đại hội Hiệp hội Du lịch lần thứ I, nhiệm kỳ 2025 - 2030.
-
Kinh tế & Xã hội
SEA Games 33: “Đất dữ” cũng hóa lành!
09:15'
Sân vận động Rajamangala dường như đã trở thành một phần định mệnh đẹp trong hành trình huấn luyện của HLV Kim Sang Sik cùng Bóng đá Việt Nam.
-
Kinh tế & Xã hội
Bảng tổng sắp huy chương Sea Games 33 mới nhất (ngày 19/12/2025)
07:00'
Bảng xếp hạng huy chương SEA Games 33 mới nhất hôm nay (19/12/2025) tiếp tục chứng kiến cuộc cạnh tranh quyết liệt giữa các đoàn thể thao hàng đầu Đông Nam Á.
-
Kinh tế & Xã hội
Số lượng lao động nước ngoài tại Hàn Quốc cao kỷ lục
05:30'
Số lượng lao động nước ngoài tại “xứ sở Kim Chi” đã vượt mốc 1,1 triệu người trong năm nay, thiết lập mức cao kỷ lục.
-
Kinh tế & Xã hội
Lịch thi đấu bóng đá hôm nay ngày 19/12/2025
05:00'
Bnews. Lịch thi đấu bóng đá hôm nay 19/12, sáng mai 20/12 các trận đấu trong nước, quốc tế đêm nay và sáng mai được cập nhật mới nhất, chính xác nhất. Lịch thi đấu ngoại hạng Anh, La Liga, Bundesliga.
-
Kinh tế & Xã hội
U22 Việt Nam giành HCV SEA Games 33
22:55' - 18/12/2025
Đội tuyển U22 Việt Nam giành chiến thắng với tỉ số 3-2 trước U22 Thái Lan trong trận chung kết môn Bóng đá nam SEA Games 33 để mang về chiếc cúp Vô địch ngay trên sân Rajamangala (Bangkok).
-
Kinh tế & Xã hội
Thủ tướng gửi thư chúc mừng Đội tuyển bóng đá nam U22 và Đội tuyển nữ Futsal quốc gia Việt Nam giành Huy chương Vàng SEA Games 33
22:43' - 18/12/2025
Thủ tướng Chính phủ Phạm Minh Chính đã gửi thư chúc mừng thành tích tuyệt vời của Ban Huấn luyện và các Đội tuyển.
-
Kinh tế & Xã hội
XSGL 19/12. Kết quả xổ số Gia Lai hôm nay ngày 19/12/2025. SXGL ngày 19/12. SXGL hôm nay
20:46' - 18/12/2025
XSGL 19/12. Kết quả xổ số hôm nay ngày 19/12. XSGL Thứ Sáu. Trực tiếp KQXSGL ngày 19/12. Kết quả xổ số Gia Lai hôm nay ngày 19/12/2025. Kết quả xổ số Gia Lai Thứ Sáu ngày 19/12/2025.
