Dự báo thời tiết 15/9: Nắng đẹp trong ngày Trung thu
Theo Trung tâm Dự báo Khí tượng Thuỷ văn Trung ương, mưa ở Trung Bộ đang giảm nhanh, chỉ còn tập trung ở các tỉnh từ Thanh Hóa đến Hà Tĩnh và dưới 20mm. Lũ ở một số sông ở Hà Tĩnh và Nghệ An vẫn đang lên.
Dự báo hôm nay (15/9) lũ trên sông Ngàn Sâu (Hà Tĩnh) và sông Cả (Nghệ An) sẽ ở quanh mức báo động 2, kèm với đó là cảnh báo ngập úng vẫn có thể xảy ra tại các vùng trũng thấp ven sông, nguy cơ sạt lở đất ở vùng núi từ Nghệ An – Quảng Bình.
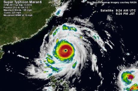
Thời tiết hôm nay chuyển biến tốt, từ Thanh Hóa – Phan Thiết trời đều nắng ráo và nhiệt độ từ 32-34 độ. Bắc Bộ cũng được đón Rằm Trung thu trong thời tiết thích hợp cho các hoạt động lễ hội ngoài trời. Dự báo khắp các thành phố trong đó có Thủ đô Hà Nội nắng vừa phải, không quá nóng với nhiệt độ từ 33-34 độ. Tây Nguyên và Nam Bộ cũng đón nắng ở trong buổi sáng và trưa hôm nay, nhiệt độ cao nhất sẽ không quá 33 độ. Về chiều tối mưa giông sẽ kéo đến gây mưa rào rải rác, cần đề phòng tố lốc và gió giật kèm theo. Về tình hình siêu bão Meranti, theo thông tin mới nhất sáng sớm nay, bão Meranti đã đổ bộ vào phía Nam tỉnh Phúc Kiến (Trung Quốc). Hồi 2 giờ, vị trí tâm bão ở vào khoảng 24,5 độ Vĩ Bắc; 118,2 độ Kinh Đông, trên bờ biển phía Nam tỉnh Phúc Kiến (Trung Quốc). Sức gió mạnh nhất ở vùng gần tâm bão mạnh cấp 14 (150-165km/giờ), giật cấp 16-17. Dự báo trong khoảng 24 giờ tới, bão di chuyển theo hướng Bắc Tây Bắc, mỗi giờ đi được khoảng 20km, đi sâu vào đất liền Trung Quốc và suy yếu thành áp thấp nhiệt đới.Đến 01 giờ ngày 16/9, vị trí tâm áp thấp nhiệt đới ở vào khoảng 28,5 độ Vĩ Bắc; 117,8 độ Kinh Đông, trên đất liền tỉnh Giang Tây (Trung Quốc). Sức gió mạnh nhất ở vùng gần tâm áp thấp nhiệt đới mạnh cấp 6 (40-50km/giờ), giật cấp 7-8.
Do ảnh hưởng của bão, trong sáng nay (15/9) ở vùng biển phía Đông Bắc khu vực Bắc Biển Đông còn có gió giật mạnh cấp 6-7, giật cấp 8-9; biển động mạnh. Dự báo thời tiết cho các vùng ngày 15/9 như sau:Phía Tây Bắc Bộ có mưa rào và dông vài nơi. Gió nhẹ. Độ ẩm từ 65 - 95%. Nhiệt độ thấp nhất từ 23 - 26 độ C, cao nhất từ 30 - 33 độ C. Phía Đông Bắc Bộ và Thủ đô Hà Nội đêm có mưa rào và dông vài nơi, ngày nắng. Gió Bắc đến Tây Bắc cấp 2-3. Độ ẩm từ 55 - 95%. Nhiệt độ thấp nhất từ 24 - 27 độ C, cao nhất từ 32 - 35 độ C.
Các tỉnh từ Thanh Hoá đến Thừa Thiên Huế chiều tối và đêm có mưa rào và dông vài nơi, ngày nắng. Gió nhẹ. Độ ẩm từ 70 - 98%. Nhiệt độ thấp nhất từ 24 - 27 độ C, cao nhất từ 32 - 35 độ C. Đà Nẵng đến Bình Thuận chiều tối và đêm có mưa rào và dông vài nơi, ngày nắng. Gió Tây Nam cấp 2-3. Độ ẩm từ 60 - 97%. Nhiệt độ thấp nhất từ 24 - 27 độ C, cao nhất từ 32 - 35 độ C. Khu vực Nam Bộ có mưa rào và dông vài nơi; riêng chiều tối mai có mưa rào và dông rải rác. Gió Tây Nam cấp 2-3. Trong cơn dông có khả năng xảy ra tố lốc và gió giật mạnh. Độ ẩm từ 70 - 97%. Nhiệt độ thấp nhất từ 21 - 24 độ C, cao nhất từ 28 - 31 độ C. Nam Bộ có mưa rào và dông vài nơi; riêng chiều tối mai có mưa rào và dông rải rác. Gió Tây Nam cấp 2-3. Trong cơn dông có khả năng xảy ra tố lốc và gió giật mạnh. Độ ẩm từ 65 - 96%. Nhiệt độ thấp nhất từ 23 - 26 độ C, cao nhất từ 30 - 33 độ C./.Tin liên quan
-
Kinh tế & Xã hội
Dự báo thời tiết: Bão số 5 gây gió giật cấp 17 trên biển Đông
20:00' - 14/09/2016
Hồi 16 giờ, vị trí tâm bão ở vào khoảng 23,0 độ Vĩ Bắc; 119,4 độ Kinh Đông, trên vùng biển phía Đông Bắc Biển Đông.
-
Kinh tế & Xã hội
Dự báo thời tiết: Bão Meranti đã đi vào biển Đông, sức gió giật trên cấp 17
18:15' - 14/09/2016
Dự báo trong 24 giờ tới, bão di chuyển theo hướng Tây Bắc, mỗi giờ đi được khoảng 20km.
-
Kinh tế & Xã hội
Dự báo thời tiết 14/9: Siêu bão Meranti gây gió giật trên cấp 17 ở Biển Đông
07:47' - 14/09/2016
Từ sáng sớm hôm nay (14/9), ảnh hưởng của siêu bão Meranti gây ra gió mạnh cấp 10-14 cho khu vực Đông Bắc Biển Đông. Vùng gần tâm bão gió cấp 15-17, giật trên cấp 17, biển động dữ dội.
-
Kinh tế & Xã hội
Dự báo thời tiết: Các tỉnh, thành phố ven biển theo dõi chặt siêu bão Meranti
16:43' - 13/09/2016
Dự báo trong 24 giờ tới, bão Meranti di chuyển theo hướng Tây Tây Bắc, mỗi giờ đi được khoảng 20km.
Tin cùng chuyên mục
-
Kinh tế & Xã hội
Lịch thi đấu bóng đá hôm nay ngày 15/1/2026
05:00'
Bnews. Lịch thi đấu bóng đá hôm nay 15/1, sáng mai 16/1 các trận đấu trong nước, quốc tế đêm nay và sáng mai được cập nhật mới nhất, chính xác nhất. Lịch thi đấu ngoại hạng Anh, La Liga, Bundesliga.
-
Kinh tế & Xã hội
XSMT 15/1. Kết quả xổ số miền Trung hôm nay ngày 15/1/2026. XSMT thứ Năm ngày 15/1
19:30' - 14/01/2026
XSMT 15/1. KQXSMT 15/1/2026. Kết quả xổ số hôm nay ngày 15/1. XSMT thứ Năm. Xổ số miền Trung hôm nay 15/1/2026. Trực tiếp KQXSMT ngày 15/1. Kết quả xổ số miền Trung hôm nay thứ Năm ngày 15/1.
-
Kinh tế & Xã hội
XSMN 15/1. Kết quả xổ số miền Nam hôm nay ngày 15/1/2026. XSMN thứ Năm ngày 15/1
19:30' - 14/01/2026
XSMN 15/1. KQXSMN 15/1/2026. Kết quả xổ số hôm nay ngày 15/1. XSMN thứ Năm. Xổ số miền Nam hôm nay 15/1/2026. Trực tiếp KQXSMN ngày 15/1. Kết quả xổ số miền Nam hôm nay thứ Năm ngày 15/1/2026.
-
Kinh tế & Xã hội
XSMB 15/1. Kết quả xổ số miền Bắc hôm nay ngày 15/1/2026. XSMB thứ Năm ngày 15/1
19:30' - 14/01/2026
Bnews. XSMB 15/1. Kết quả xổ số hôm nay ngày 15/1. XSMB thứ Năm. Trực tiếp KQXSMB ngày 15/1. Kết quả xổ số miền Bắc hôm nay thứ Năm ngày 15/1/2026.
-
Kinh tế & Xã hội
Kết quả Vietlott Power 6/55 ngày 15/1 - Kết quả xổ số Vietlott ngày 15/1/2026 - Xổ số Vietlott Power 6/55 hôm nay
19:30' - 14/01/2026
Bnews. Kết quả Vietlott Power 6/55 ngày 15/1. Kết quả xổ số Vietlott hôm nay ngày 15 tháng 1 năm 2026 - Xổ số Vietlott Power 6/55 hôm nay.
-
Kinh tế & Xã hội
Kết quả xổ số Tây Ninh hôm nay 15/1/2026. XSTN 15/1. Xổ số Tây Ninh hôm nay
19:00' - 14/01/2026
Bnews. XSTN 15/1. Kết quả xổ số hôm nay ngày 15/1. XSTN Thứ Năm. Trực tiếp KQXSTN ngày 15/1. Kết quả xổ số Tây Ninh hôm nay ngày 15/1/2026. Kết quả xổ số Tây Ninh Thứ Năm ngày 15/1/2026.
-
Kinh tế & Xã hội
XSAG 15/1. Kết quả xổ số An Giang hôm nay 15/1/2026
19:00' - 14/01/2026
Bnews. XSAG 15/1. Kết quả xổ số hôm nay ngày 15/1. XSAG Thứ Năm. Trực tiếp KQXSAG ngày 15/1. Kết quả xổ số An Giang hôm nay ngày 15/1/2026. Kết quả xổ số An Giang Thứ Năm ngày 15/1/2026.
-
Kinh tế & Xã hội
XSBDI 15/1. Kết quả xổ số Bình Định hôm nay ngày 15/1/2026. XSBĐ ngày 15/1
18:00' - 14/01/2026
XSBDI 15/1. Kết quả xổ số hôm nay ngày 15/1. XSBDI Thứ Năm. Trực tiếp KQXSBDI ngày 15/1. Kết quả xổ số Bình Định hôm nay ngày 15/1/2026. Kết quả xổ số Bình Định Thứ Năm ngày 15/1/2026.
-
Kinh tế & Xã hội
XSQB 15/1. Kết quả xổ số Quảng Bình hôm nay ngày 15/1/2026. XSQB ngày 15/1. XSQB
18:00' - 14/01/2026
XSQB 15/1. Kết quả xổ số hôm nay ngày 15/1. XSQB Thứ Năm. Trực tiếp KQXSQB ngày 15/1. Kết quả xổ số Quảng Bình hôm nay ngày 15/1/2026. Kết quả xổ số Quảng Bình Thứ Năm ngày 15/1/2026.

Dự báo thời tiết 15/9:Nắng đẹp trong ngày Trung thu. Ảnh: Trọng Đạt - TTXVN