Bão Dorian đổ bộ vào Canada, hàng trăm nghìn người chịu cảnh mất điện
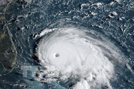
Theo phóng viên TTXVN tại Ottawa, cơn bão Dorian sau khi quét qua Đại Tây Dương đã mạnh lên và đổ bộ vào khu vực Atlantic Canada (bao gồm 4 tỉnh bang Newfoundland và Labrador, Prince Edward Island, Nova Scotia và New Brunswick), khiến hàng trăm nghìn người dân phải chịu cảnh mất điện, làm cây cối bị gẫy đổ và gây nên những đợt sóng lớn.
Theo Trung tâm Bão Quốc gia Canada, bão Dorian đã mạnh lên cấp 2 khi vào Canada, với sức gió lên tới 160 km/h. Cơ quan Môi trường Canada cảnh báo nguy cơ lũ lụt dọc khu vực bờ biển Đại Tây Dương của nước này. Chính quyền thành phố Halifax kêu gọi người dân sống tại một số khu vực ven biển phải rời nơi cư trú.
Đến chiều tối 7/9 (giờ địa phương), hơn 380.000 người dân sống phải sống trong cảnh bị mất điện. Toàn bộ tỉnh bang Nova Scotia dự báo sẽ có mưa trong ngày 7/9, với lượng mưa từ 60-200 mm tùy từng khu vực.
Thủ tướng Canada JustinTrudeau tuyên bố Ottawa sẵn sàng hỗ trợ các khu vực bị ảnh hưởng bởi cơn bão này.Chuyên gia khí tượng Tina Simpkin cảnh báo Dorian là cơn bão lớn. Khi hướng vào Atlantic Canada sáng 7/9, bão Dorian di chuyển với tốc độ 41 km/h, tốc độ nhanh nhất kể từ khi cơn bão hình thành.
Khi đổ bộ vào phía Bắc quần đảo Bahamas ngày 1/9 vừa qua, Dorian là siêu bão cấp 5, đã cướp đi sinh mạng của ít nhất 43 người, trong khi vài trăm người được cho là mất tích. Liên hợp quốc thông báo hơn 70.000 người ở Bahamas cần được viện trợ sau khi cơn bão tàn phá nhà cửa, hoa màu của người dân./.
Xem thêm:- Từ khóa :
- bão
- cơn bão dorian
- bão dorian đổ bộ vào canada
Tin liên quan
-
Kinh tế & Xã hội
Mỹ: Bão Dorian đổ bộ Carolinas sau khi tàn phá Bahamas
08:18' - 06/09/2019
Đầu giờ sáng nay, bão Dorian đã đổ bộ vào Carolinas của Mỹ, mang theo mưa lớn và gió mạnh, sau khi càn quét khu vực phía Bắc Bahamas làm ít nhất 20 người thiệt mạng và hàng nghìn người bị mất nhà cửa.
-
Kinh tế & Xã hội
Siêu bão Dorian mạnh lên cấp 3 và hướng vào Mỹ
11:01' - 05/09/2019
Trung tâm Bão quốc gia Mỹ (NHC) thông báo sau khi suy yếu, bão Dorian hiện đã mạnh lên cấp 3 trong thang cảnh báo gồm 5 cấp và hướng vào Mỹ.
-
Kinh tế & Xã hội
Bang thứ 5 của Mỹ tuyên bố tình trạng khẩn cấp do siêu bão Dorian
10:27' - 03/09/2019
Cùng với 4 bang khác, sáng 3/9 (giờ Việt Nam), bang Virginia đã tuyên bố tình trạng khẩn cấp do siêu bão Dorian, sẵn sàng ứng phó cơn bão diễn biến khó lường này.
-
Kinh tế Thế giới
Ít nhất 26 người thương vong ở Bahamas do bão Dorian
09:46' - 03/09/2019
Siêu bão nhiệt đới Dorian đã làm ít nhất 5 người thiệt mạng, 21 người bị thương, và gây lụt lội nghiêm trọng tại đảo quốc Bahamas.
-
Kinh tế & Xã hội
Mỹ tuyên bố tình trạng khẩn cấp tại bang Georgia do siêu bão Dorian
07:46' - 03/09/2019
Trong một tuyên bố vào ngày 2/9, Nhà Trắng cho biết chính quyền Mỹ đã tuyên bố tình trạng khẩn cấp tại bang Georgia khi cơn bão Dorian hướng tới nhiều bang khu vực đông nam của nước Mỹ.
Tin cùng chuyên mục
-
Kinh tế & Xã hội
Công điện của Ban Chỉ đạo Phòng thủ dân sự quốc gia về ứng phó với mưa lũ khu vực miền Trung
07:28'
Ngày 3/12/2025, Ban Chỉ đạo Phòng thủ dân sự quốc gia ban hành Công điện về việc ứng phó với mưa lũ khu vực miền Trung (Công điện số 37/CĐ-BCĐ-BNNMT).
-
Kinh tế & Xã hội
Lịch thi đấu bóng đá hôm nay ngày 4/12/2025
05:00'
Bnews. Lịch thi đấu bóng đá hôm nay 4/12, sáng mai 5/12 các trận đấu trong nước, quốc tế đêm nay và sáng mai được cập nhật mới nhất, chính xác nhất. Lịch thi đấu ngoại hạng Anh, La Liga, Bundesliga.
-
Kinh tế & Xã hội
OANA: Chia sẻ tri thức về công nghệ - Chìa khóa cho sự phát triển của các hãng thông tấn
22:13' - 03/12/2025
Chiều 3/12, Hội nghị Ban chấp hành Tổ chức các hãng thông tấn châu Á – Thái Bình Dương (OANA) do Hãng Tân Hoa xã đăng cai tổ chức đã khai mạc tại tỉnh Hải Nam (Trung Quốc).
-
Kinh tế & Xã hội
Vụ cháy chung cư ở Hong Kong (Trung Quốc): Kết thúc công tác tìm kiếm trong các tòa nhà
21:34' - 03/12/2025
Lực lượng Cảnh sát Hong Kong (DVIU) đã hoàn tất việc tìm kiếm nạn nhân của 7 tòa nhà trong vụ cháy và sẽ tiếp tục tìm kiếm trong các giàn giáo tre do vẫn còn 31 người mất liên lạc.
-
Kinh tế & Xã hội
Yêu cầu chủ đầu tư khắc phục ngay "hố tử thần" tại Đà Nẵng
20:45' - 03/12/2025
Hiện nay chủ đầu tư và các đơn vị đã có biện pháp khoanh vùng nguy hiểm, thực hiện các biện pháp xử lý tạm thời để đảm bảo an toàn tại công trình và khu vực.
-
Kinh tế & Xã hội
XSMB 4/12. Kết quả xổ số miền Bắc hôm nay ngày 4/12/2025. XSMB thứ Năm ngày 4/12
19:30' - 03/12/2025
Bnews. XSMB 4/12. Kết quả xổ số hôm nay ngày 4/12. XSMB thứ Năm. Trực tiếp KQXSMB ngày 4/12. Kết quả xổ số miền Bắc hôm nay thứ Năm ngày 4/12/2025.
-
Kinh tế & Xã hội
XSMT 4/12. Kết quả xổ số miền Trung hôm nay ngày 4/12/2025. XSMT thứ Năm ngày 4/12
19:30' - 03/12/2025
XSMT 4/12. KQXSMT 4/12/2025. Kết quả xổ số hôm nay ngày 4/12. XSMT thứ Năm. Xổ số miền Trung hôm nay 4/12/2025. Trực tiếp KQXSMT ngày 4/12. Kết quả xổ số miền Trung hôm nay thứ Năm ngày 4/12.
-
Kinh tế & Xã hội
XSMN 4/12. Kết quả xổ số miền Nam hôm nay ngày 4/12/2025. XSMN thứ Năm ngày 4/12
19:30' - 03/12/2025
XSMN 4/12. KQXSMN 4/12/2025. Kết quả xổ số hôm nay ngày 4/12. XSMN thứ Năm. Xổ số miền Nam hôm nay 4/12/2025. Trực tiếp KQXSMN ngày 4/12. Kết quả xổ số miền Nam hôm nay thứ Năm ngày 4/12/2025.
-
Kinh tế & Xã hội
Kết quả Vietlott Power 6/55 ngày 4/12 - Kết quả xổ số Vietlott ngày 4/12/2025 - Xổ số Vietlott Power 6/55 hôm nay
19:30' - 03/12/2025
Bnews. Kết quả Vietlott Power 6/55 ngày 4/12. Kết quả xổ số Vietlott hôm nay ngày 4 tháng 12 năm 2025 - Xổ số Vietlott Power 6/55 hôm nay.
