Bão Sally gây thiệt hại về người và tài sản tại Mỹ
Tại bang Alabama, ít nhất một người đã thiệt mạng và một người khác bị mất tích.
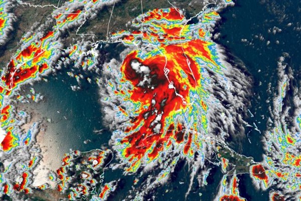
Theo Trung tâm Dự báo bão quốc gia Mỹ (NHC), sau khi đổ bộ vào khu vực ven biển bang Alabama với cường độ mạnh cấp 2, bão Sally đã suy yếu nhưng vẫn gây ra thiệt hại đáng kể tại nhiều khu vực ở các bang Alabama và Florida.
Mưa to kèm gió giật đã gây ra tình trạng ngập lụt nghiêm trọng và mất điện trên diện rộng. Một số khu vực bị cô lập trong nước lũ có thể ghi nhận lượng mưa lên tới 890 mm.
NHC cho biết, tính đến 0h ngày 17/9 (giờ Việt Nam), bão Sally có sức gió duy trì tối đa 112 km/h. Hiện cơn bão đang di chuyển chậm lên hướng Bắc-Đông Bắc với vận tốc 8 km/h.
Dự kiến, bão sẽ tiếp tục suy yếu thành áp thấp nhiệt đới khi tiến sâu vào đất liền vào sáng 17/9 (giờ địa phương).
Hơn 550.000 hộ gia đình và cơ sở kinh doanh ở các bang Alabama, Florida và Mississippi đã bị mất điện do ảnh hưởng của bão Sally.
Trong khi đó, thành phố Pensacola (Florida) với khoảng 52.000 dân là một trong những địa phương bị ngập lụt nghiêm trọng nhất.
Giới chức địa phương cho biết bão Sally đã cuốn phăng một đoạn của cây cầu Three Mile mới xây bắc qua Vịnh Pensacola, buộc nhà chức trách phải ra lệnh đóng cửa cây cầu này.
Tại thành phố Orange Beach, Thị trưởng Tony Kennon thông báo một người đã thiệt mạng và một người khác mất tích.
Trước đó cùng ngày, cơn bão Sally đã đổ bộ vào vùng duyên hải Vịnh Mehico, với sức gió lên tới 165 km/h.
Phát biểu họp báo, Thống đốc bang Alabama, Kay Ivey, nhận định: "Chúng ta đang trải qua một trận lũ lịch sử, rất có thể mực nước mưa do bão Sally gây ra có thể vượt mọi kỷ lục trước đây. Nếu nước dâng cao, nguy cơ xảy ra thiệt hại về người và tài sản là rất lớn".
Bà Ivey kêu gọi mọi người dân tại những địa điểm nguy cơ cao đi sơ tán để đảm bảo an toàn tính mạng và tìm nơi tránh trú trong ngày 16/9 chờ bão đi qua. Trước đó, bà cũng tuyên bố tình trạng khẩn cấp ở bang này.
Theo Tổ chức Khí tượng thế giới (WMO), bão Sally là một trong 5 cơn bão nhiệt đới đang cùng lúc hoạt động ở Đại Tây Dương, một hiện tượng thời tiết chỉ được ghi nhận một lần duy nhất vào tháng 9/1971.
Các chuyên gia khí tượng nhận định việc bão Sally di chuyển chậm sẽ gây ra những tác động kéo dài tại những khu vực bão quét qua./.
- Từ khóa :
- mỹ
- bang Alabama
- bão Sally
- cơn bão Sally
Tin liên quan
-
Kinh tế tổng hợp
Mỹ: Bão Sally đổ bộ vào đất liền có thể gây lụt lội tại bang Alabama
19:50' - 16/09/2020
Ngày 16/9, cơn bão Sally đã đổ bộ vào vùng duyên hải Vịnh Mehico, với lượng mưa dự báo có thể gây lụt lội lớn.
-
Thời tiết và biến đổi khí hậu
Mỹ ban bố tình trạng khẩn cấp do bão Sally
09:55' - 15/09/2020
Trung tâm bão quốc gia Mỹ (NHC) ngày 14/9 cho biết bão cơn Sally ở Vịnh Mexico đang ngày càng mạnh lên và dự kiến trở thành cơn bão nguy hiểm khi đổ bộ bờ biển nước này.
-
Thời tiết và biến đổi khí hậu
Bang Floria của Mỹ chuẩn bị đón bão nhiệt đới Sally
06:00' - 15/09/2020
Bão nhiệt đới Sally đã mạnh lên ở ngoài khơi bờ biển phía Tây bang Florida (Mỹ) và nhiều khả năng gây ra gió lớn và sóng biển dâng cao nguy hiểm tại vùng duyên hải Vịnh Mexico của Mỹ.
Tin cùng chuyên mục
-
Kinh tế tổng hợp
XSDNA 28/3. Kết quả xổ số Đà Nẵng hôm nay ngày 28/3/2026. XSDNA ngày 28/3. XSDNA hôm nay
18:00'
XSDNA 28/3. Kết quả xổ số hôm nay ngày 28/3. XSDNA Thứ Bảy. Trực tiếp KQXSDNA ngày 28/3. Kết quả xổ số Đà Nẵng hôm nay ngày 28/3/2026. Kết quả xổ số Đà Nẵng Thứ Bảy ngày 28/3/2026.
-
Kinh tế tổng hợp
XSQNG 28/3. Kết quả xổ số Quảng Ngãi hôm nay ngày 28/3/2026. XSQNG ngày 28/3. XSQNG hôm nay
18:00'
XSQNG 28/3. XSQNG 28/3. Kết quả xổ số hôm nay ngày 28/3. XSQNG Thứ Bảy. Trực tiếp KQXSQNG ngày 28/3. Kết quả xổ số Quảng Ngãi hôm nay 28/3/2026. Kết quả xổ số Quảng Ngãi Thứ Bảy ngày 28/3/2026.
-
Kinh tế tổng hợp
Hợp tác xã TP. Hồ Chí Minh chuyển mình theo xu thế mới để phát triển bền vững
17:12'
Không còn là những mô hình sản xuất nhỏ lẻ, hoạt động cầm chừng, nhiều hợp tác xã tại TP. Hồ Chí Minh đã bước vào giai đoạn chuyển mình mạnh mẽ.
-
Kinh tế tổng hợp
Khởi động Giải báo chí toàn quốc về nông nghiệp, nông dân, nông thôn năm 2026
12:08'
Giải báo chí toàn quốc về “nông nghiệp, nông dân, nông thôn Việt Nam” lần thứ IV - năm 2026 và Thi ảnh “Nông thôn Việt Nam 40 năm Đổi mới” đã chính thức công bố thể lệ giải, cơ cấu giải thưởng.
-
Kinh tế tổng hợp
Xung đột tại Trung Đông: Mỹ kêu gọi G7 chung sức mở lại eo biển Hormuz
11:25'
Ngày 26/3, Ngoại trưởng Mỹ Marco Rubio tuyên bố nỗ lực thúc đẩy mở lại eo biển Hormuz là vì “lợi ích chung” của toàn bộ Nhóm các nền công nghiệp phát triển (G7).
-
Kinh tế tổng hợp
Xung đột tại Trung Đông: Tổng thống Mỹ tiết lộ “cử chỉ thiện chí” của Iran
10:50'
Tổng thống Mỹ Donald Trump cho biết Iran đã cho phép 10 tàu chở dầu đi qua eo biển Hormuz như một “cử chỉ thiện chí” trong bối cảnh các cuộc đàm phán nhằm chấm dứt xung đột giữa hai bên đang diễn ra.
-
Kinh tế tổng hợp
Số hóa hoạt động bảo tồn hệ sinh thái biển tại Lý Sơn
09:57'
Vừa qua, tại đặc khu Lý Sơn, Hội nghề cá Quảng Ngãi, Ban Quản lý Khu bảo tồn biển Lý Sơn và Liên minh Bảo tồn Thiên nhiên quốc tế (IUCN) tập huấn cho ngư dân sử dụng ứng dụng báo cáo động vật biển.
-
Kinh tế tổng hợp
Lịch thi đấu bóng đá hôm nay ngày 27/3/2026
05:00'
Bnews. Lịch thi đấu bóng đá hôm nay 27/3, sáng mai 28/3 các trận đấu trong nước, quốc tế đêm nay và sáng mai được cập nhật mới nhất, chính xác nhất. Lịch thi đấu ngoại hạng Anh, La Liga, Bundesliga.
-
Kinh tế tổng hợp
XSMN 27/3. Kết quả xổ số miền Nam hôm nay ngày 27/3/2026. XSMN thứ Sáu ngày 27/3
19:30' - 26/03/2026
XSMN 27/3. KQXSMN 27/3/2026. Kết quả xổ số hôm nay ngày 27/3. XSMN thứ Sáu. Xổ số miền Nam hôm nay 27/3/2026. Trực tiếp KQXSMN ngày 27/3. Kết quả xổ số miền Nam hôm nay thứ Sáu ngày 27/3/2026.

Một tuyến phố bị ngập nước do mưa lớn khi bão Sally đổ bộ vào thành phố Pascagoula, bang Mississippi, Mỹ ngày 15/9/2020. Ảnh: AFP/TTXVN